目前位於加勒比海海域的「梅麗莎 Melissa」已增強為5級颶風,成為今年地表最強的熱帶風暴,其暴風圈將帶來致災性洪水、山崩與危及生命的破壞力,首當其衝的牙買加緊急下令大規模疏散,當地居民如臨大敵!
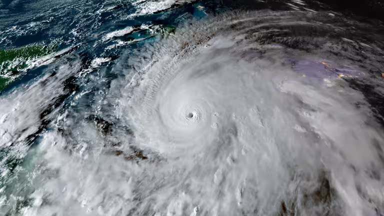
圖片來源 / 翻攝自France 24
根據媒體《CNN》報導,梅麗莎以5級颶風之姿重創加勒比海地區,美國國家颶風中心 (NOAA) 判定中心最大平均風速達150kt、陣風185kt,且梅麗莎結構紮實、颶風眼清晰可見,近中心風速甚至還有再增強趨勢。

目前梅麗莎移動速度相當緩慢,強襲牙買加地區,強勁風速和劇烈雨勢已造成海地和牙買加3人死亡、多明尼加共和國1人罹難。NOAA預估梅麗莎將帶來破壞性極強、危及生命的洪災和浪潮,尤其是牙買加,即使颶風風力減弱,洪水恐怕也不會消退。

如此驚人破壞力可能引發毀滅性的山洪暴發與山崩,牙買加已發布大規模強制疏散令,要求沿岸地區居民緊急撤離。而據紀錄以來,牙買加從未有過5級颶風登陸,也是大西洋有史以來第45個5級颶風。



















